Čo vysadiť na prázdne hriadky a prečo urobiť v júni Šittov rez a prebierku plodov
Takmer všetko sme už vysadili a vysiali, niekde sa nám už dokonca mohli objaviť prázdne hriadky. Na čo práve teraz nezabudnúť v úžitkovej záhrade?
Vysievame fenikel
Fenikel je čoraz obľúbenejší aj v našich končinách. Poznáme dve variety fenikla: sladký fenikel (Foeniculum vulgare var. dulce), tvoriaci chutnú buľvu, a fenikel obyčajný (Foeniculum vulgare var. vulgare), ktorý sa používa ako voňavé korenie (najmä jeho semená) a do čajov. Semená sladkého fenikla vysievame v polovici júna alebo začiatkom júla. Rastline doprajte slnečné miesto a výživnú priepustnú pôdu. Po vzídení rastlinky jednotíme tak, aby medzi nimi vznikli rozstupy 30 cm. Výhodou neskorého výsevu je aj to, že rastliny nevybiehajú do kvetu.

Vysádzame ružičkový kel
Niektoré skoré jarné zeleniny už máme v tomto období pozberané. Na uvoľnené a pripravené hriadky si môžeme vysadiť predpestované priesady ružičkového kelu.
Vysádzame na slnečné miesta, ideálne do sponu 60 × 50 cm, najlepšie počas daždivejšieho počasia. Nie je potrebné sadiť veľa priesad, aj zopár rastlín nám zabezpečí žiadanú úrodu a zásobu na zimné obdobie. Vysadené priesady zavlažujeme, pôdu okolo nich kypríme, odburiňujeme a nezabúdame ani na prihnojovanie. Neskôr v lete odtrhneme vegetačný vrchol a prinútime tým rastlinu tvoriť malé listové ružičky.

Starostlivosť o paradajky
Okrem pravidelného prísunu vlahy a prihnojovania (používame hnojivo na plodovú zeleninu) je potrebné vyšším kolíkovým odrodám zabezpečiť včas pevnú oporu. Tá by mala mať dĺžku aspoň 1,8 m, osvedčené sú kovové, bambusové i drevené tyče. Rastliny k nim postupne, ako rastú, priväzujeme. Takto budeme mať istotu, že sa pod ťarchou plodov nezlomia.
Okrem toho nezabúdame na pravidelné odstraňovanie zálistkov, ktoré vyrastajú z pazúch listov. Rastlina porastie viac do výšky, a keďže sa tým porast i prevzdušní, bude odolnejší proti hubovým chorobám. Kríčkovým rajčinám nie je potrebné dávať oporu, takisto im netreba ani odstraňovať zálistky. Priebežne kontrolujeme zdravotný stav vysadených rajčín, a ak treba, zasiahneme hneď na začiatku problému. Rozsah poškodenia nebude taký veľký. Ako rastlina rastie, žltnú jej spodné listy. Keďže sa tým stávajú pre rajčiny nepotrebnými, priebežne ich odstraňujeme.

Postarajme sa o raz rodiace maliny
Po zbere malín dôkladne prezrieme porast a všetky konáre, na ktorých dozreli plody, odstránime tesne pri pôde. Zároveň s nimi odstránime aj tie najslabšie, ponecháme len tie najsilnejšie. Malinovým kríkom doprajeme prísun vlahy a veľmi dôležité je aj prihnojenie. Na konci júna realizujeme druhé hnojenie, ktoré podporí rodivosť v nasledujúcom roku. Využiť môžeme kvalitné viaczložkové hnojivo určené pre drobné bobuľoviny. Namiesto kúpeného hnojiva môžeme po zbere úrody maliny skypriť, odburiniť a na celé malinovisko navrstviť cca 10 cm vrstvu kompostu.

Šittov rez marhúľ
Uskutočniť ho môžeme v polovici mesiaca, ide o letný rez. Pri reze skracujeme letorasty tesne nad očkom, ktoré smeruje von z koruny. Dlhé letorasty skracujeme o polovicu alebo až o dve tretiny. Rezné rany nemusíme zatierať, rýchlo sa hoja. Šittov rez podporuje vytvorenie kompaktnej korunky s hrubšími konármi, ktoré dokážu uniesť aj viac plodov. Podnieti rozkonárenie a posunie kvitnutie marhule v ďalšom roku o niekoľko dní. Tým ich môže uchrániť pred jarnými mrazmi. Posunutie tohto rezu na neskoršie obdobie, napríklad na júl, môže mať za následok nekvitnutie marhule v budúcom roku.

Pri reze kôstkovín dezinfikujeme nožnice aj ruky tak, aby sme ich mali pri každom strome čisté. Eliminujeme tak možnosť prenosu baktérií spôsobujúcich nebezpečný glejotok.
Jahody po zbere
Dozrievajúce jahody oberáme každý druhý deň, najlepšie skoro ráno. Po obratí posledných plodov sa musíme o jahodovisko správne postarať. Rastliny vyčistíme od suchých a poškodených listov, pôdu v okolí rastlín prekypríme. Do pôdy okolo jahôd zapracujeme kvalitné hnojivo. Využiť môžeme aj hnojivú zálievku. Nezabúdame na pravidelný prísun vlahy, ideálne v ranných hodinách.

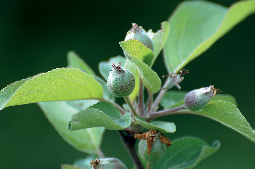
Prebierka plodov jabloní
Časť z novovyvíjajúcich sa plodov ovocných stromov prirodzene opadne. Ak ich na strome zostane stále príliš veľa, je vhodné pristúpiť k ručnej prebierke. Vhodný čas je vtedy, keď majú plody v priemere asi 15 mm. Ako prvé dáme preč všetky veľmi malé, poškodené alebo nedobre vyvinuté plody. V jednom súkvetí by mal zostať len jeden plod. ponechané plody by mali byť od seba vzdialené asi 10 cm. Malé plody vylamujeme opatrne a jemne, aby sa nepoškodili, vetvičku si pridržíme.

Na čo ešte nezabudnúť
- Dôležitá je prebierka plodov broskýň. Na dlhom jednoročnom výhonku necháme asi len päť plodov, pričom tie ponechané by mali byť od seba vzdialené aspoň 10 cm. Výsledkom sú väčšie a kvalitnejšie plody.
- Čučoriedkam v záhonoch doprajeme v čase horúčav a sucha pravidelný prísun vlahy. Substrát by mal byť stále mierne vlhký. Aplikujeme tiež hnojivo určené na čučoriedky.
- Teraz si môžeme vysadiť do nádob nízke odrody čučoriedok z kontajnera a umiestniť ich napríklad na balkón alebo terase.
Text: Daniel Košťál
Foto: Miro Pochyba, Marian Komžík, isifa/Shutterstock
Zdroj: časopis Záhrada









